PRACA TARNÓW
337
752
USŁUGI
844
527
18
96
459
46
DLA DOMU
562
318
122
1108
3
DLA DZIECKA
9
623
155
314
» Inne
408
NAUKA I EDUKACJA
126
130
219
NIERUCHOMOŚCI
BEZ POŚREDNIKÓW
100
47
131
M I E S Z K A N I A
260
11
22
255
6
10
D O M Y
265
11
25
4
D Z I A Ł K I
356
27
17
LOKALE
32
7
206
MOTORYZACJA
12
774
402
363
47
240
» Audi
84
» BMW
62
» Fiat
45
» Ford
120
32
35
» KIA
28
24
45
33
» Opel
132
67
59
27
36
46
94
11
13
163
2
TELEFONY GSM
150
0
33
KOMPUTERY
116
0
30
WESELA
30
9
5
8
38
AGD,TV,ELEKTRONIKA
569
1
SPORT i HOBBY
42
50
310
4
19
» Inne
215
MODA i URODA
DAMSKA
» Buty
66
168
» Inne
100
MĘSKA
» Buty
36
96
» Inne
29
ROZRYWKA
8
13
» Inne
66
TURYSTYKA
2
15
RÓŻNE
27
1417
35
155
2
6
33
41
MATRYMONIALNE
23
10

Ogłoszenie #2408457

Działka budowlana 11 arów Dąbrowa Tarnowska Bagien #2408457

telefon :
miejscowość :
Dąbrowa Tarnowski
data ważności :
2026-06-07 (dodane: 2026-04-08 09:22)
cena :
12900 zł
wyświetleń :
204




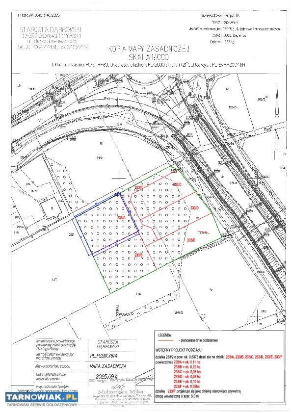
DZIAŁKA BUDOWLANA

Dąbrowa Tarnowska, obręb BAGIENICA, przy obwodnicy miasta

Oferuję do sprzedaży działkę budowlaną o powierzchni 11 ar, zlokalizowaną w miejscowości Dąbrowa Tarnowska Działka położona na uboczu miasta, w sąsiedztwie zabudowy domów jednorodzinnych.

Działka nr 233/A

Powierzchnia: 0,11 ha

Wymiary: ok. 30m x 37m - dokładne wymiary na mapie

wydana decyzja o warunkach zabudowy na budowę budynku mieszkalnego jednorodzinnego
możliwość przepisania decyzji o warunkach zabudowy na nowego inwestora
dojazd drogą asfaltową
media w działce: kanalizacja przechodzi przez działkę, pozostałe media przy drodze serwisowej
cena 12 900 brutto / 1 ar - ( cena zawiera 23% vat ); faktura VAT
W załączeniu mapa z wydzieloną działką. Pozostałe dokumenty do wglądu.

Do sprzedania: 5 działek obok siebie, z wewnętrzną drogą dojazdową.

Zapraszam do kontaktu telefonicznego: 731585858

Działka budowlana 11 arów Dąbrowa Tarnowska Bagien - Obrazek 1Działka budowlana 11 arów Dąbrowa Tarnowska Bagien - Obrazek 2Działka budowlana 11 arów Dąbrowa Tarnowska Bagien - Obrazek 3Działka budowlana 11 arów Dąbrowa Tarnowska Bagien - Obrazek 4

  • « Powrót
  • Usuń
Odpowiedz na to ogłoszenie

Twój e-mail: ()


Twoja odpowiedź:


Przepisz kod z obrazka:



Inne ogłoszenia tego użytkownika (0):
- brak -

W serwisie
Licznik odwiedzin


Aktualnie stronę przegląda
612 użytkowników.
Informacje

🔹 Regulamin


Reklamy